About Number 6 Mines Road
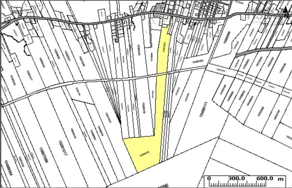
Peace, privacy and tranquility await you! Check out this 55 Acre parcel of untapped potential on No6 Mines Road in Donkin, NS! Imagine the perks and possibilities of owning your own acreage. This property is within close proximity to a local beach, gas station & approximately 10 minutes from the town of Glace Bay - enjoy the country life while being only a short commute to town essentials. There is the old railway running through the property resulting in a potential land-lock for the back half. The first half of the property with road access appears to contain over 10 acres (shown in photos - To be verified by buyer or buyers agent). Call today to schedule your private tour.
Features of Number 6 Mines Road
MLS® # | 202301384 |
---|---|
Price | $29,900 |
Acres | 55.00 |
Type | Land |
Sub-Type | Unimproved Land |
Status | Closed |
Date Sold | June 1st, 2023 |
Community Information
Address | Number 6 Mines Road |
---|---|
Area | Cape Breton |
District | 207-C.B. County |
Sub-District | N/A |
City | Donkin |
County | Cape Breton |
Province | NS |
Postal Code | B1A 6X5 |
Amenities
Utilities | None |
---|---|
Parking | None |
Is Waterfront | No |
Has Pool | No |
Interior
Fireplace | No |
---|---|
Has Basement | No |
Exterior
Lot Description | Wooded, 50 to 100 Acres |
---|
Additional Information
Zoning | RCB |
---|
Listing Details
Office | RE/MAX Park Place Inc. |
---|