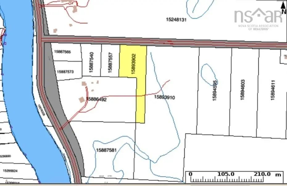
About Lot 2020-2 Toronto Road
Great Building lot in a great area! 2.5 acres
Features of Lot 2020-2 Toronto Road
MLS® # | 202315062 |
---|---|
Price | $25,000 |
Acres | 2.50 |
Type | Land |
Sub-Type | Unimproved Land |
Status | Closed |
Date Sold | September 29th, 2023 |
Community Information
Address | Lot 2020-2 Toronto Road |
---|---|
Area | Cape Breton |
District | 205-North Sydney |
Sub-District | N/A |
City | Bras D'Or |
County | Cape Breton |
Province | NS |
Postal Code | B1V 1S8 |
Amenities
Utilities | None |
---|---|
Parking | None |
Is Waterfront | No |
Has Pool | No |
Interior
Fireplace | No |
---|---|
Has Basement | No |
Exterior
Lot Description | 1 to 2.99 Acres |
---|
Additional Information
Zoning | RES |
---|
Listing Details
Office | EXP Realty of Canada Inc. |
---|