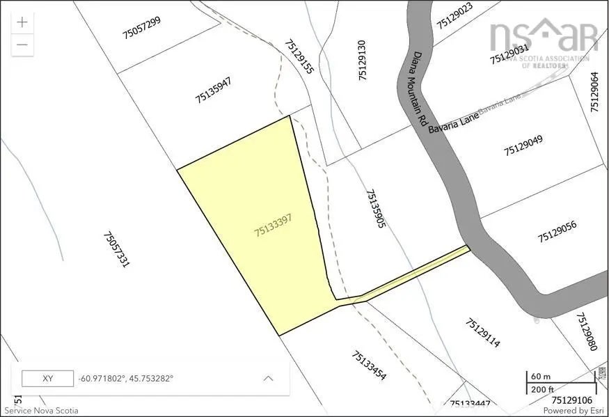
Lot 16h West Bay Highway, The Points West Bay, NS

$19,900

Previous Next

3.54

Acres

About Lot 16h West Bay Highway

A Building Lot in The Points, West Bay, accessible by an old subdivision road off of the former Diana Resort. Great opportunity as an investment, to park money or to establish a reasonably priced camp.

Features of Lot 16h West Bay Highway

MLS® # 202127446
Price $19,900
Acres 3.54
Type Land
Sub-Type Unimproved Land
Status Active

Community Information

Address Lot 16h West Bay Highway
Area Highland Region
District 305-Richmond County / St. Peters & Area
Sub-District N/A
City The Points West Bay
County Richmond
Province NS
Postal Code B0E 3B0

Amenities

Utilities Electricity Connected, High Speed Internet, Phone Connected, To Be Verified
Parking None
Is Waterfront No
Has Pool No

Interior

Fireplace No
Has Basement No

Exterior

Lot Description Hardwood Bush, Not Landscaped, Sloping/Terraced, Softwood Bush, 3 to 9.99 Acres

Additional Information

Zoning RUR

Listing Details

OfficeViewpoint Realty Services Inc. (Sydney)

Listing Map

Request a Showing

Provide a valid email address.
When would you like to view this property?