Thibeau Road, Thibeauville, NS

$42,500

Previous Next

51.00

Acres

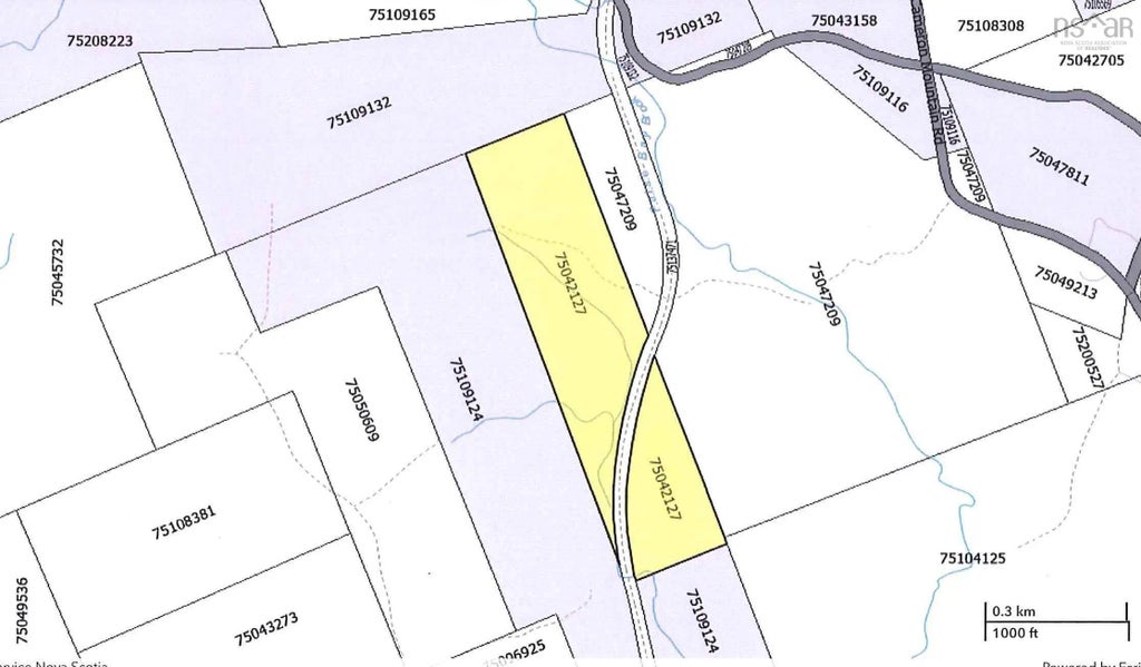
About Thibeau Road

Have you been looking for an off-grid site? A large property, lots of room for your camp. A place to cut years worth of firewood for your home. This is the property for you. There is an ATV trail that runs through the site. There are a number of great building sites for your camp or cottage. There are lots of options for off-grid power available today. If you are looking to be away from the crowds and have a spot that is easily accessible, then this is the property for you! Remember over 50 acres of great wood land!

Features of Thibeau Road

MLS® # 202423105
Price $42,500
Acres 51.00
Type Land
Sub-Type Unimproved Land
Status Active

Community Information

Address Thibeau Road
Area Highland Region
District 305-Richmond County / St. Peters & Area
Sub-District N/A
City Thibeauville
County Richmond
Province NS
Postal Code B0E 3B0

Amenities

Utilities None
Parking None
Is Waterfront No
Has Pool No

Interior

Fireplace No
Has Basement No

Exterior

Lot Description Wooded, 50 to 100 Acres

School Information

Elementary East Richmond Education Centre
High Richmond Education Centre/ Academy

Additional Information

Zoning residential

Listing Details

OfficeHarvey Realties Limited (St.Peters)

Listing Map

Request a Showing

Provide a valid email address.
When would you like to view this property?