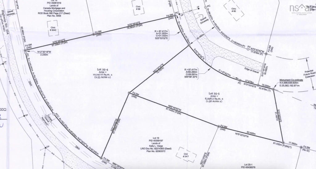
25-4 25-4 Main Street, Gore, NS

$55,000

Previous Next

2.53

Acres

About 25-4 25-4 Main Street

Are you looking for an affordable, large, wooded and private 2.53 acre lot to build your dream home? Located just 15 minutes from Elmsdale, this beautiful lot offer the perfect combination of privacy and convenience. Surrounded by nature, the property provide a peaceful setting while still being close to schools, shopping, and highway access. Whether you're ready to build now or planning for the future, this is a fantastic opportunity to secure a spacious piece of land in a quiet, rural area. Enjoy year-round road access on 2 government roads and the flexibility to create a home that truly suits your lifestyle.

Features of 25-4 25-4 Main Street

MLS® # 202523366
Price $55,000
Acres 2.53
Type Land
Sub-Type Unimproved Land
Status Active

Community Information

Address 25-4 25-4 Main Street
Area Halifax - Dartmouth
District 105-East Hants/Colchester West
Sub-District 105-C
City Gore
County Hants
Province NS
Postal Code B0N 2N0

Amenities

Utilities Electricity Connected, High Speed Internet
Parking None
Is Waterfront No
Has Pool No

Interior

Fireplace No
Has Basement No

Exterior

Lot Description Level, Wooded, 1 to 2.99 Acres

School Information

Elementary Rawdon District Elementary School
Middle Hants North Rural High School
High Hants East Rural High School

Additional Information

Zoning Res

Listing Details

OfficeRoyal LePage Atlantic (Enfield)

Listing Map

Request a Showing

Provide a valid email address.
When would you like to view this property?