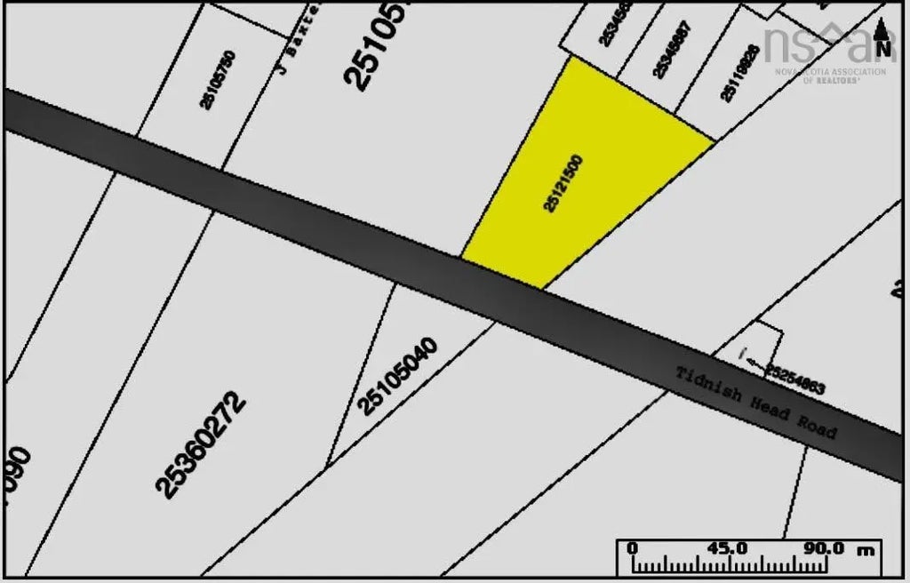
About 86-4 Tidnish Head Road
Large 1.57 acre building lot with deeded beach access, a drilled well and septci system already in place. This lot has been surveyed and all the pins are easy to find, plus we have on file a copy of the survey and a copy of the septic details. Please note the driveway to the lot is on the beach right of way. There is an iron bar right beside the for sale sign which represents the front left lot corner. Any questions please see the survey plan on file or the listing agent will be available for site visits to answer questions.
Features of 86-4 Tidnish Head Road
| MLS® # | 202310893 |
|---|---|
| Price | $44,900 |
| Acres | 1.57 |
| Type | Land |
| Sub-Type | Unimproved Land |
| Status | Closed |
| Date Sold | July 31st, 2023 |
Community Information
| Address | 86-4 Tidnish Head Road |
|---|---|
| Area | Northern Region |
| District | 102N-North of Hwy 104 |
| Sub-District | N/A |
| City | Tidnish Cross Roads |
| County | Cumberland |
| Province | NS |
| Postal Code | B4H 3X9 |
Amenities
| Utilities | Electricity Connected, Phone Connected |
|---|---|
| Parking Spaces | 1 |
| Parking | Gravel, Shared, Single |
| Is Waterfront | No |
| Waterfront | Ocean Access |
| Has Pool | No |
Interior
| Fireplace | No |
|---|---|
| Has Basement | No |
Exterior
| Lot Description | Cleared, 1 to 2.99 Acres |
|---|
School Information
| Elementary | Northport Consolidated School |
|---|---|
| Middle | E. B. Chandler Junior High School |
| High | Amherst Regional High School |
Additional Information
| Zoning | residential |
|---|
Listing Details
| Office | Royal LePage Cumberland Realty Ltd. |
|---|
