About 51 Old Enfield Road
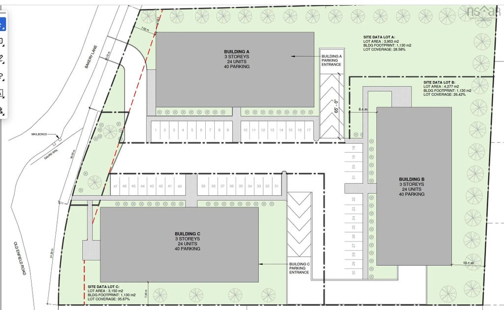
Presenting 51 Old Enfield Road, a new construction multi-family opportunity in the Enfield neighborhood of East Hants. These 2 adjoining properties total 2.8 acres and have been approved for a 72 unit development. All costs associated with the development will be the purchasers responsibility including the removal of the existing home. There's no rock in this area making it a less expensive foundation install for your project. The property is an opportunity to enter the growing and high demand market of East Hants which has seen increased popularity among young professionals looking for housing options while maintaining a close distance to downtown Halifax and Truro. Located across from the busiest Legion in Nova Scotia - a great place to catch a local ball game at the 2 ball diamonds and attend many community functions....and a very rentable location. Just a short drive to the brand new aquatic center as well as the Sportsplex, shopping and schools. Great family friendly location. The community offers convenience, delicious dinning options, cafes, live music, shopping and more. Rural meets urban here in Enfield!
Features of 51 Old Enfield Road
MLS® # | 202403324 |
---|---|
Price | $2,160,000 |
Acres | 2.81 |
Type | Land |
Sub-Type | Unimproved Land |
Status | Closed |
Date Sold | June 26th, 2024 |
Community Information
Address | 51 Old Enfield Road |
---|---|
Area | Halifax - Dartmouth |
District | 105-East Hants/Colchester West |
Sub-District | 105-B |
City | Enfield |
County | Hants |
Province | NS |
Postal Code | B2T 1C9 |
Amenities
Utilities | Cable Connected, Electricity Connected, High Speed Internet, Phone Connected |
---|---|
Parking Spaces | 1 |
Parking | Gravel, Single |
Is Waterfront | No |
Has Pool | No |
Interior
Fireplace | No |
---|---|
Has Basement | No |
Exterior
Lot Description | Partially Cleared, Partial Landscaped, Level, Sloping/Terraced, 1 to 2.99 Acres |
---|
Additional Information
Zoning | MU |
---|
Listing Details
Office | Royal LePage Atlantic (Enfield) |
---|