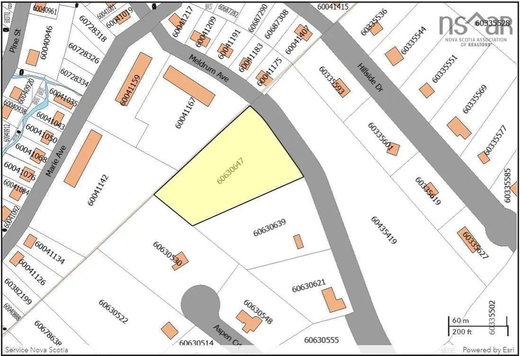
About Lot 27 Meldrum Avenue
This versatile 2 acre building lot is ready for development. Bordering the town of Bridgewater, it gives you the opportunity to enjoy all the amazing amenities Bridgewater has to offer while still only paying county taxes. The property has approval in place for septic and footings permit for a triplex, or you could simply build the single family home of your dreams.
Features of Lot 27 Meldrum Avenue
MLS® # | 202508222 |
---|---|
Price | $90,000 |
Acres | 2.19 |
Type | Land |
Sub-Type | Unimproved Land |
Status | Closed |
Date Sold | June 3rd, 2025 |
Community Information
Address | Lot 27 Meldrum Avenue |
---|---|
Area | South Shore |
District | 405-Lunenburg County |
Sub-District | C1 |
City | Conquerall Bank |
County | Lunenburg |
Province | NS |
Postal Code | B4X 1X8 |
Amenities
Utilities | To Be Verified |
---|---|
Parking | None |
Is Waterfront | No |
Has Pool | No |
Interior
Fireplace | No |
---|---|
Has Basement | No |
Exterior
Lot Description | Cleared, 1 to 2.99 Acres |
---|
Additional Information
Zoning | RES |
---|
Listing Details
Office | RE/MAX Nova |
---|